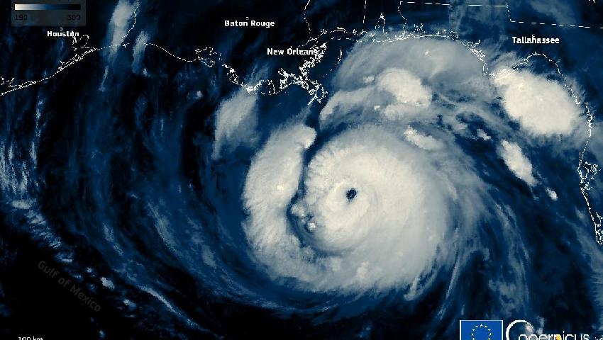
Ida kasırgası ekonomiyi de vurdu: Üretim durdu, petrol ve doğalgaz fiyatları arttı
Pandeminin etkileri nedeniyle sarsılan ve sonrasında toparlanma dönemine giren ABD ekonomisi, bu…
Akaryakıt ve doğalgazda kasırga etkisi
Meksika Körfezi'nde etkisini hissettiren Ida kasırgası ABD'de akaryakıt fiyatlarını yukarı çekerken, Avrupa…
BOTAŞ tesislerine yönelik düzenleme
Enerji ve Tabii Kaynaklar Bakanlığının, Boru Hatları ile Petrol Taşıma AŞ Genel…
Brent petrolün varil fiyatı 69,78 dolar
Dün 70,26 dolara kadar yükselen Brent petrolün varil fiyatı, günü 69,04 dolar…
EİT üyesi ülkeler, temiz enerjide iş birliklerini geliştirecek
Ekonomik İşbirliği Teşkilatı (EİT) üyesi ülkeler, 'temiz enerji' konusunda iş birliklerini geliştirmeyi…
İngilizlerin iki büyük öngörüsüzlüğü! Birini Fransa birini ABD kaptı
Her yıl yaklaşık 18 bin geminin geçtiği, Asya ve Avrupa arasında ticari…
Petrolde ‘Süveyş’ sorunu devam ediyor
Petrol fiyatları, yatırımcıların Süveyş Kanalı’nda karaya oturan devasa konteyner gemisinin piyasayı etkileyeceğine…
Dünyanın en büyük petrol terminaline saldırı
Suudi Arabistan’daki bir ham petrol tesisine yönelik pazar günü saldırı girişiminde bulunuldu.…
Yeni kaynak ‘verimlilik’
Dünya enerji sektörü daha önce hiç yaşamadığı bir krizin içinde. Bu krizin…
Dönmez: Karadeniz’de 2 aya kadar yeni bir müjde gelebilir
Enerji ve Tabii Kaynaklar Bakanı Fatih Dönmez, özel bir televizyon kanalında gündeme…

